cuaca ekstrem
-
Nasional

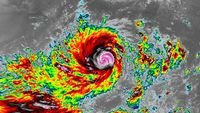
Ancaman Tiga Bibit Siklon Tropis Serentak di Indonesia Picu Cuaca Ekstrem
JAKARTA – Badan Meteorologi, Klimatologi, dan Geofisika (BMKG) baru saja merilis peringatan dini terkait kemunculan tiga bibit siklon tropis yang…
-
Nasional

BMKG Ungkap Alasan Siklon Tropis Tidak Bisa Dimodifikasi dan Strategi Mitigasi Hujan Ekstrem
JAKARTA – Badan Meteorologi, Klimatologi, dan Geofisika (BMKG) secara tegas menyatakan bahwa teknologi manusia saat ini belum mampu menghentikan atau…
-
Nasional

Ketinggian Air Pintu Air Jakarta Meningkat Drastis ke Status Waspada dan Siaga
JAKARTA – Badan Penanggulangan Bencana Daerah (BPBD) DKI Jakarta mengeluarkan peringatan dini terkait kenaikan status di sejumlah pintu air utama…
-
Pemerintah

BMKG Tegaskan Operasi Modifikasi Cuaca Bukan Penyebab Cuaca Ekstrem di Indonesia
JAKARTA – Badan Meteorologi, Klimatologi, dan Geofisika (BMKG) secara resmi meluruskan persepsi keliru masyarakat mengenai Operasi Modifikasi Cuaca (OMC) yang…
-
Internasional

Badai Salju Ekstrem Lumpuhkan Aktivitas Warga dan Transportasi di Amerika Serikat
Kekacauan Massal Akibat Cuaca Ekstrem Badai salju dahsyat yang menerjang wilayah Amerika Serikat selama beberapa hari terakhir mengakibatkan kekacauan massal…
-
Nasional

Potensi Hujan Lebat Guyur Jakarta Akibat Monsun Asia dan Ancaman Banjir Jabodetabek
JAKARTA – Badan Meteorologi Klimatologi dan Geofisika (BMKG) merilis peringatan dini mengenai potensi hujan dengan intensitas lebat hingga sangat lebat…
-
Pemerintah

Pramono Anung Tunda Perbaikan Jalan Berlubang Akibat Cuaca Ekstrem Jakarta
JAKARTA – Gubernur Jakarta Pramono Anung meminta masyarakat untuk bersabar menghadapi kondisi infrastruktur jalan yang rusak pasca-banjir yang melanda beberapa…
-
Internasional

Nuuk Greenland Kembali Terang Usai Blackout Total Akibat Angin Kencang
NUUK – Kondisi kehidupan di Ibu Kota Greenland, Nuuk, berangsur pulih setelah terjangan angin kencang memicu pemadaman listrik massal yang…
-
Daerah

Warga Temukan Mayat Pria di Sungai Gintung Pemalang Diduga Terseret Arus Banjir
PEMALANG – Warga yang bermukim di sekitar bantaran Sungai Gintung, Kabupaten Pemalang, mendadak gempar setelah menemukan sesosok mayat pria yang…








